For full functionality of this site it is necessary to enable JavaScript.
Dallas East Soccer Association
Dallas East Soccer Association
Login
MyLeagueLineup
Administration
Login
MyLeagueLineup
Administration
°F
Welcome
About
DESA Bulletin Board
Board of Directors
Sponsors
Teams & Rosters
Division/Leagues
Schedules
Schedules
Calendar
Results
Game Results
Standings
Forms
SIGN UP FOR SOCCER/ REGISTRO PARA JUGAR
Forms
More
Video Tip of the Week
Articles
Coupons
Arcade
Training Center
Pages
FIELD STATUS
Referee's Page
Thanksgiving Cup 2024
Background Check
Login
MyLeagueLineup
Administration
Subscribe to our Newsletter
Welcome To
1st Annual Dallas Thanksgiving Cup
November 23, 24, 25, 2012
*All games will be played at Hobby Fields.
Cup Application and Check-In Information
Thanksgiving Cup Information, Guidelines, and Rules
Host Hotel:
TBA
Medical Release Form
Misconduct Report & Game Roster
All U10 - U19 Teams Must Have 5 Copies
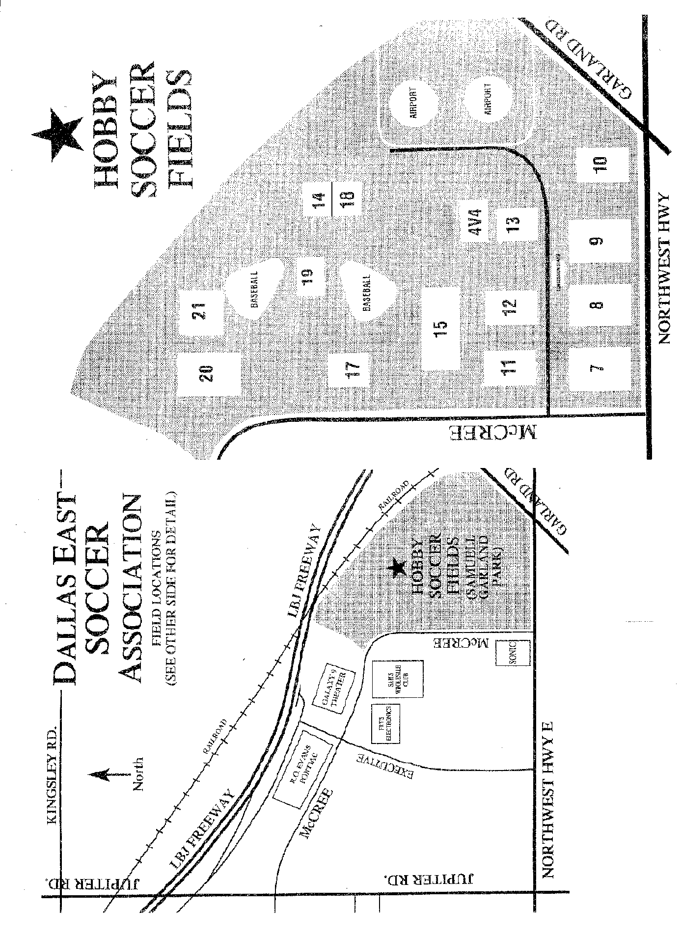
Hobby Field Map
Guest Player Release Form
Complex Field Map